| S.No | RC No | LP No (Curnt) | BLP No (Corsp) | Description / Developer | Village / Mandal | No of Plots | Extent (Acs.cts) | Survey No / No | Date of LP | Category | Proceedings | Layout |
| 1 | 2905/08/L3 | 01/2008 | | VUDA-PLG - Permission for approval of layout for an extent of Ac.4.33 Cts in S.No.39/1 and 39/2 of ravada (V) Parawada (M) Visakhapatnam District vide L.P.No.01/2008 (VK-PCPIR) - Order - Issued - Reg. | ravada (V) Parawada (M) Visakhapatnam District | | 4.33 | 39/1,39/2 | 21-11-2008 | PRVT | VIEW | VIEW |
| 2 | 312/08/Plg/L3 | 03/2008 | | VUDA - PLG - Permission for approval of layout for an extent of Ac 3.85 Cts in S.No. 174/1,2,4 to 9,10P, 175/2,3,5,7, 9 to 11 of Cheepurupalli West (V) Parawada (M) Visakhapatnam District vide LP.No. 03/2008 (VK PCPIR-SDA ) - Orders -Issued - Reg. | Cheepurupalli West (V) Parawada (M) Visakhapatnam District | | 3.85 | 174/1,2,4 to 9,10P, 175/2,3,5,7, 9 to 11 | 05-02-2009 | PRVT | VIEW | VIEW |
| 3 | 12520/08/L3 | 04/2008 | | VUDA - PLG - Permission for approval of layout for an extent of Ac 11.00 cts in S.No. 233/p, 236/P, 237/P, & 238/P of Maduturu (V) Atchutapuram (M) Visakhapatnam District vide L.P. No. 04/2008 (VK PCPIR-SDA ) - Orders - Issued - Reg. | Maduturu (V) Atchutapuram (M) Visakhapatnam District | | 11.00 | 233/p, 236/P, 237/P, & 238/P | 30-12-2008 | PRVT | VIEW | VIEW |
| 4 | 13483/081/L3 | 1/2009 | | VUDA - PLG - Permission for approval of layout for an extent of Ac 19.83 Cts in S. No. 367, 368/p, 369/p, 370/p, 371/p & 457/p of Ravada (V) Para Wada (M) Visakhapatnam District vide L.P. No. 1/2009 (VK PCPIR SDA ) - Orders - Issued - Reg. | Ravada (V) Para Wada (M) Visakhapatnam District | | 19.83 | 367,368/p,369/p,370/p,371/p & 457/p | 01-01-2009 | PRVT | VIEW | VIEW |
| 5 | 366/08/L3 | 02/2009 | | VUDA - PLG - Permission for approval of layout for an extent of Ac 29.38 Cts in S.No. 70/P, 89/p, 90/p, 91, 92/p, and 95/p of Ravada (V) Parawada (M) Visakhapatnam District vide L.P. No. 02/2009 (VK PCPIR SDA ) - Orders - Issued - Reg. | Ravada (V) Parawada (M) Visakhapatnam District | | 29.38 | 70/P, 89/p,90/p, 91, 92/p, and 95/p | 02/01/2009 | PRVT | VIEW | VIEW |
| 6 | 10711/08/L3 | 04/2009 | | VUDA - PLG-Permission for approval of layout for an extent of AC 12.21 Cts in S.Nos 235/1,236/p & 2p of chegeepurupalli west(V) Parawada (M) visakhapatnam District vide L.P.No 04/2009 (VK PCPIR SDA) - Orders - Issued- Reg | chegeepurupalli west(V) Parawada (M) visakhapatnam District | | 12.21 | 235/1,236/1 &273/11 &2p | 02/06/2009 | PRVT | VIEW | VIEW |
| 7 | 14052/08/L3 | 05/2009 | | VUDA-PLG-Permission for approval of layout for an extent of Ac 39.28Cts in S.No 33/p,34/p,35/p,36&37/p of cheemalapalli(V) and S.No.1/p of Maduturu (V) Atchutapuram (M) visakhapatnam District vide L.P.05/2009 (VK PCPIR SDA)- orders - issued- reg | cheemalapalli(V) and of Maduturu (V) Atchutapuram (M) visakhapatnam District | | 39.28 | 33/p,34/p,35/p,36&37/p of cheemalapalli(V) and S.No.1/p of Maduturu (V) | 20/06/2009 | PRVT | VIEW | VIEW |
| 8 | 7090/08/L6 | 06/2009 | | VUDA - PLG - Permission for approval of Housing layout for an extent of Acs. 11.23 cts in S.No.340, 341/p to 344 & 430/p of E. Bonangi (V) Parawada (M) - Visakhapatnam District vide L.P. No.6/2009(VK PCPIR SDA)- Orders -Issued - Reg. | of E. Bonangi (V) Parawada (M) - Visakhapatnam District | | 11.23 | 340, 341/p to 344 & 430/p | 05/11/2009 | PRVT | VIEW | VIEW |
| 9 | 346/08/L6 | 03/2010 | | VK PCPIR SDA - VUDA - PLG - Permission for approval of layout to an extent of Ac 43.75 Cts in S.No.19, 20, 21/4, 5, 6, 7, 8, 22/7p, 8, 9, 14 to 18, 31/p, 266 & 267 of Chodapalli (V), Atchutapuram (M) Visakhapatnam District vide L.P.No.3/2010 of VK PCPIR SDA - Releasing of layout - Regarding | Chodapalli (V), Atchutapuram (M) Visakhapatnam District | | 43.75 | 19, 20, 21/4, 5, 6, 7, 8, 22/7p, 8, 9, 14 to
18, 31/p, 266 & 267 | 24/04/2010 | PRVT | VIEW | VIEW |
| 10 | 342/L6/08 | 04/2010 | | VK PCPIR SDA - VUDA - PLG - Permission for approval of layout to an extent of Ac 12.67 Cts in S.Nos.135/p, 148/p, 149/p & 157p of Rawada (V), Parawada (M) Visakhapatnam District vide L.P.No.4/2010 of VK PCPIR SDA - Releasing of layout - Regarding | Rawada (V), Parawada (M) Visakhapatnam District | | 12.67 | 135/p, 148/p, 149/p & 157p | 15/9/2010 | PRVT | VIEW | VIEW |
| 11 | 4426/L6/09 | 05/2010 | | VK PCPIR SDA - Permission for approval of Housing layout for an extent of Acs.10.11 cts in S.No. 430/3 to 14,16,17 & 19 to 21 of P.Bonangi (V) Parawada (M) - Visakhapatnam District - L.P. NO.5/2010 of VK PCPIR SDA - Orders - Issued - Reg. | Bonangi (V) Parawada (M) - Visakhapatnam District | 120 | 10.11 | 430/3 to 14,16,17 & 19 to 21 | 27/9/2010 | PRVT | VIEW | VIEW |
| 12 | 6274/09/L6 | 07/2010 | | VK PCPIR SDA - VUDA - PLG - Permission for approval of layout to an extent of Ac 12.04 Cts in S.Nos.273/3, 6 & 295/1, 2p of Cheepurupalli West (V), Parawada (M) Visakhapatnarn District vide L.P.No.7/2010 of VK PCPIR SDA applied by Sri K. Rama Chandra Varma & others - Releasing of layout - Regarding | Cheepurupalli West (V), Parawada (M) Visakhapatnarn District | 150 | 12.04 | 273/3, 6 & 295/1, 2p | 4/1/2011 | PRVT | VIEW | VIEW |
| 13 | 4425/L6/09 | 01/2/2011 | | VK PCPIR SDA-Permission for approval of Housing layout for an extent of Acs.10.39 cts in S.Nos.433/1 to 21, 434/1 to 5 & 6/p of P.Bonangi (V) Parawada (M)-Visakhapatnam District - L.P. NO.1/2011 of VK PCPIR SDA - Orders-Issued-Reg. | P.Bonangi (V) Parawada (M)-Visakhapatnam District | 126 | 10.39 | 433/1 to 21, 434/1 to 5 & 6/p | 01/2/2011 | PRVT | VIEW | VIEW |
| 14 | 4417/L6/09 | 2/2011 | | VK PCPIR SDA - VUDA - PLG - Permission for approval of layout to an extent of Ac 5.34 Cts in S.Nos.2/6P, 7, 8P, 13, 14 & 3/4, 5P, 6 of Jagannadhapuram Agraharam (V), Avasomavaram Panchayat Atchutapuram (M) Visakhapatnam District vide L.P.No.2/2011 of VK PCPIR SDA applied by Sri Alok Banerjee, Director, Mis Abacus Funds Services Pvt. Ltd., - Releasing of layout - Regarding | Jagannadhapuram Agraharam (V), Avasomavaram Panchayat Atchutapuram (M) Visakhapatnam District | 68 | 5.34 | 2/6P, 7, 8P, 13, 14 & 3/4, 5P, 6 | 23/02/11 | PRVT | VIEW | VIEW |
| 15 | 79/L6/2011 | 04/2011 | | VK PCPIR SDA - VUDA _ PLG - Permission for approval of layout to an extent of Ac7.43 Cts in S.Nos.167/1,167/3p,169 of Panchadarla (V) Panchadarla Panchayat Rambilli (M) visakhapatnam district vide L.P.No.4/2011 of VK PCPIR SDA applied by M/s S.N Developers & others - Releasing of layouts - Reg | Panchadarla (V) Panchadarla Panchayat Rambilli (M) visakhapatnam district | 58 | 7.43 | 167/1,167/3p,169 | 08/07/2011 | PRVT | VIEW | VIEW |
| 16 | 12483/2010/L6 | 05/2011 | | VK PCPIR SDA - VUDA - PLG - Approval of layout in S.No.s.144p, 145p, 169p, 172p, 173, 174p & 175p of Avasomavaram (V) Atchutapuram (M) Visakhapatnam District to an extent of AC.12.25 Cts vide L.P.No.5/2011 of VK PCPIR SDA applied by the .Secretary, the Andhra Pradesh Vidyut Officers, Visakhapatnarn - Releasing of layout - Reg. | Avasomavaram (V) Atchutapuram (M) Visakhapatnam District | 121 | 12.25 | 144p, 145p,
169p, 172p, 173, 174p & 175p | 12/08/2011 | PRVT | VIEW | VIEW |
| 17 | 377/2008/L6 | 6/2011 | | VK PCPIR SDA - VUDA - PLG - Approval of layout in S.No.5p of J.P. Agraharam (V) Atchutapuram (M) Visakhapatnam District to an extent of AC.7.88 Cts vide L.P.No.6/2011 of VK PCPIR SDA applied by Sri K. Suresh and Sri S.A. Trinadha Raju - Releasing of layout - Reg | J.P. Agraharam (V) Atchutapuram (M) Visakhapatnam District | 79 | 7.88 | 5p | 05/09/2011 | PRVT | VIEW | VIEW |
| 18 | 01/L6/2010 | 7/2011 | | VK PCPIR SDA - VUDA - PLG - Approval of layout in S.Nos.5/2p, 9/2p & 15/1 P of Maduturu (V) Atchutapuram (M) for an extent of Acs 4.22 Cts vide L.P.No.7/2011 of VK PCPIR SDA applied by MIs RK. Township Constructions (P) Ltd - Releasing of layout - Reg. | Maduturu (V) Atchutapuram (M) | 44 | 4.22 | 5/2p, 9/2p &
15/1 P of Maduturu | 29/10/2011 | PRVT | VIEW | VIEW |
| 19 | 20042/L6/2011 | 01/2012 | | VK PCPIR SDA - Approval of layout in S. Nos.159/1, 2, 3, 4 & 6p, 160/1, 2, 3, 5p & 7 of Panchadarla (V) Rambilli (M) Visakhapatnam District for an extent of Acs.10.62 Cts vide L.P.No.1/2012 of VK PCPIR SDA applied by Smt M. Lakshmi - Orders - Issued. | Panchadarla (V) Rambilli (M) Visakhapatnam District | 119 | 10.62 | 159/1, 2, 3, 4 & 6p, 160/1,
2, 3, 5p & 7 | 01/01/2012 | PRVT | VIEW | VIEW |
| 20 | 219/2011/L6 | 02/2012 | | VK PCPIR SDA - VSP - Approval of Kakinada SEZ revised layout plan for Rehabilitation of BPL Families in S.Nos. 45/p, 46, 47/p, 48/p, 49/p, 50/p, 54/p & 57/p of Mulapeta (V), U. Kothapalli (M) East Godavari District to an extent of Ac.81.32 Cts - LP.No.02/2012 of approved plan - Reg. | of Mulapeta (V), U. Kothapalli (M) East Godavari District | | 81.32 | 45/p, 46, 47/p, 48/p, 49/p,
50/p, 54/p & 57/p | 06/10/2012 | PRVT | VIEW | VIEW |
| 21 | 22666/2011/L6 | 03/2012 | | VK PCPIR SDA - VSP - Proposal of APIIC layout - Special Projects Zone, Visakhapatnam Development of Industrial Cluster (Non-SEZ) Pudi layout in S.Nos. 251/p, 252/p, 253, 254, 255, 256, 257, 259, 260, 261, 262/p, 263/p, 264, 265/p, 268/p, 369, 270, 371, 372, 373, 374, 375, 376, 377 & 378 of Pudi (V), Rambilli (M) Visakhapatnam District to an extent of Ac.190.94 Cts - LP.No.03/2012 of approved plan - Reg | Pudi (V), Rambilli (M) Visakhapatnam District | | 190.9 | 251/p, 252/p, 253, 254, 255, 256, 257, 259, 260, 261, 262/p,
263/p, 264, 265/p, 268/p, 369, 270, 371, 372, 373, 374, 375, 376, 377 &
378 | 24/01/2013 | PRVT | VIEW | VIEW |
| 22 | 19931/L6/2011 | 01/2013 | | VK PCPIR SDA - Approval of layout in S.Nos.5/p, 6/p & 7/p of J.P. Agraharam (V), Atchutapuram (M), Visakhapatnam District - Applied by Sri G. Krishna Rao, MIs. G.K. Developers - for an extent of Acs.1 0.45 Cts vide L.P.No.1/2013 - Orders - Issued. | Agraharam (V), Atchutapuram (M), Visakhapatnam District | 148 | 10.45 | 5/p,6/p & 7/p | 24/02/2013 | PRVT | VIEW | VIEW |
| 23 | 4647/L6/2011 | 02/2013 | | VK PCPIR SDA - Approval of layout in S.No.245/p of Maduturu (V), Atchutapuram (M), Visakhapatnam District - Applied by Sri G. Krishna Rao, M/s. G.K. Developers - for an extent of Acs.5.25 Cts vide L.P.No.2/2013 - Orders -Issued. | Maduturu (V), Atchutapuram (M), Visakhapatnam District | 67 | 5.25 | 245/p | 14/02/2013 | PRVT | VIEW | VIEW |
| 24 | 6284/L6/2012 | 04/2013 | | VK PCPIR SDA - Approval of layout in S.No.50/2, 51/2, 52 & 55 of Dupputuru (V), Atchutapuram(M), Visakhapatnam District to an extent of Ac.29.76Cts vide L.P.No.4/2013 of VK PCPIR SDA applied by Sri Suresh Kumar Jain, Managing Partner, M/s. Navaratna Estates, Visakhapatnam- Orders - Issued. | Dupputuru (V), Atchutapuram(M), Visakhapatnam District | 187 | 29.76 | 50/2, 51/2, 52 & 55 | 08/05/2013 | PRVT | VIEW | VIEW |
| 25 | 13098/L6/2008 | 05/2013 | | VK PCPIR SDA - VSP - Approval of layout in S.Nos.428/p, 429/p, 430, 431/p & 442/p of Ravada (V), Parawada (M), Visakhapatnam District to an extent of Ac.14.61 Cts vide L.P.No.5/2013 of VK PCPIR SDA applied by Sri D. Sudhir - Orders - Issued. | Ravada (V), Parawada (M), Visakhapatnam District | 209 | 14.61 | 428/p, 429/p, 430,
431/p & 442/p | 14/06/2013 | PRVT | VIEW | VIEW |
| 26 | 20720/2011/L6 | 06/2013 | | VK PCPIR SDA - Approval of layout in S.No.38/1 P. 42/2P of P S Bonanqi (V). Parawada (M), Visakhapatnam District to an extent of Ac 9 79 Cts vide L.P NO.6/2013 of VK PCPIR SDA applied by Sri N.Surendra Babu & others - Orders - Issued. | P S Bonanqi (V). Parawada (M), Visakhapatnam District | 131 | 9.79 | 38/1P. 42/2P | 13/11/2013 | PRVT | VIEW | VIEW |
| 27 | 8790/2013/L4 | 01/2014 | | VK PCPIR SDA - VSP - Approval of layout in S.Nos.160p, 172,173p, & 175p of Chipurupalli West (V), Parawada (M), Visakhapatnam District to an extent of AC.9.625 Cts vide L.P.No.1/2014 of VK PCPIR SDA applied by M/s Adithya Developers & Constructions represented by Sri K. Kanaka Durga Raju & others - Orders - Issued | Chipurupalli West (V), Parawada (M), Visakhapatnam District | 130 | 9.625 | 160p, 172,173p, &
175p | 12/03/2014 | PRVT | VIEW | VIEW |
| 28 | 2396/2013/L6 | 002/2014 | | VK PCPIR SDA - VSP - Approval of layout in S.Nos.69/p, 70/p, 71/p, 72, 73/p, 74/p, 75/p, 76/p, 77, 78/p & 79/p of Cheemalapalli (V), Atchutapuram (M), Visakhapatnam District to an extent of Acs.15.540Cts vide L.P.No.2/2014 of VK PCPIR SDA applied by M/s Sree Narasimha Townships (P) Ltd represented by its Director Smt K. Usha Rani & Others - Orders - Issued | Cheemalapalli (V), Atchutapuram (M), Visakhapatnam District | 204 | 15.54 | 69/p, 70/p, 71/p, 72,
73/p, 74/p, 75/p, 76/p, 77, 78/p & 79/p | 24/03/2014 | PRVT | VIEW | VIEW |
| 29 | 25862/2011/L6 | 003/2014 | | VK PCPIR SDA, Visakhapatnam - Approval of layout for an extent of AC.11.53 Cts in S.Nos.51/2p, 67/p & 68/p of Duppituru (V), Atchutapuram (M), Visakhapatnam District vide L.P.No.3/2014 in favour of Sri M. Subba Rao & Others - Orders - Issued. | Duppituru (V), Atchutapuram (M), Visakhapatnam District | | 11.53 | 51/2p, 67/p & 68/p | 11/04/2014 | PRVT | VIEW | VIEW |
| 30 | 6066/2013/L10 | 4/2014 | | VK PCPIR SDA, Visakhapatnam - Approval of layout for an extent of Ac.16.67Cts in S.Nos.33, 37/p, 38 & 39 of Dopperla (V), Atchutapuram (M), Visakhapatnam District vide L.P.No.4/2014 in favour of Sri M. Sai Kumar - Orders - Issued. | Dopperla (V), Atchutapuram (M), Visakhapatnam District | 198 | 16.67 | 33, 37/p, 38 & 39 | 3/06/2014 | PRVT | VIEW | VIEW |
| 31 | 997/2014/L10 | 5/2014 | | VK PCPIR SDA, Visakhapatnam - Approval of layout for an extent of Ac.5.265 Cts in S.Nos.42 & 51/1 of Duppituru (V), Atchutapuram (M), Visakhapatnam District vide L.P.No.5/2014 in favour of Srnt T. Nagamani & Others - Orders - Issued | of Duppituru (V), Atchutapuram (M), Visakhapatnam District | 40 | 5.265 | 42 & 51/1 | 5/7/2014 | PRVT | VIEW | VIEW |
| 32 | 6512/2014/L10 | 7/2014 | | VK PCPIR SDA, Visakhapatnam-Approval of layout for an extent of Ac 16.75 Cts in SyNo. 97/6p & 97/7p of Haripuram (V), Rambilli (M), visakhapatnam District vide L.P.No 7/2014 in favour of Sri P.V.B.R.K.Reddy & others , M/s Kohinoor Prime LLP - Orders - Issued. | Haripuram (V), Rambilli (M), visakhapatnam District | 195 | 16.75 | 97/6p & 97/7p | 6/12/2014 | PRVT | VIEW | VIEW |
| 33 | 1227/2014/L10 | 8/2014 | | VK PCPIR SDA, Visakhapatnam- Approval of layout for an extent of Ac.7.36 Cts in Sy.Nos.399/2A/p,402/p,417/p & 418/p of Duppituru (V), Atchutapuram (M),visakhaptnam District Vide L.P.No.8/2014 in favour of M/s Sai Supraja Projects- Orders Issued | Duppituru (V), Atchutapuram (M),visakhaptnam District | 76 | 7.36 | 399/2A/p,402/p,417/p & 418/p | 26/11/2014 | PRVT | VIEW | VIEW |
| 34 | 397/2011/L6 | 9/2014 | | VK PCPIR SDA, Visakhapatnam - Approval of layout for an extent of Ac 6.01 Cts in Sy.Nos.124/1 to 9, 10p, 11 to 14, 15p & 123/p of Bhogapuram (V), Atchutapuram (M), Visakhapatnam District vide L.P.No.9/201~favour of Sri M. Suryanarayana - Orders - Issued | Bhogapuram (V), Atchutapuram (M), Visakhapatnam District | 78 | 6.01 | 124/1 to 9, 10p, 11 to 14, 15p & 123/p | 31/12/2014 | PRVT | VIEW | VIEW |
| 35 | 0692/2014/L6 | 1/2015 | | VK PCPIR SDA, Visakhapatnam - Approval of layout for an extent of AC.3.50 Cts in Sy.Nos.120/1p, 2p Veduruwada (V), Atchutapuram (M), Visakhapatnam District vide L.P.No.1/2015 in favour of Sri P. Venkat Rao & Others - Orders - Issued. | Veduruwada (V), Atchutapuram (M), Visakhapatnam District | 51 | 3.50 | 120/1p,2p | 7/4/2015 | PRVT | VIEW | VIEW |
| 36 | 8921/2013/L10 | 2/2015 | | VK-PCPIR SDA, Visakhapatnam - Approval of Layout for an extent of Ac.2.31 Cts in Sy.Nos.223/p of Maduturu (V), Atchutapuram (M), Visakhapatnam District vide L.P.No.2/2015 in favour of Sri T.Ananda Kumar & B.Adiseshaiah - Orders - Issued. | of Maduturu (V), Atchutapuram (M), Visakhapatnam District | 24 | 2.31 | 223/p | 13/07/2015 | PRVT | VIEW | VIEW |
| 37 | 536/2015/L10 | 3/2015 | | VK-PCPIR SDA, Visakhapatnam - Approval of Layout for an extent of Ac1.78 Cts in .Sy..No.158/p of Marturu (V), Atchutapuram (M), Visakhapatnam District vide L.P.No.3/2015 in favour of Sri P.venkata Rao & Others - Orders - Issued | Marturu (V), Atchutapuram (M), Visakhapatnam District | 21 | 1.78 | 158/p | 29/07/2015 | PRVT | VIEW | VIEW |
| 38 | 3231/2013/L10 | 4/2015 | | VK-PCPIR SDA, Visakhapatnam - Approval of Layout for an extent of Ac.8.57Cts in Sy.No.137/p, 138/p and 139/p of Veduravada (V),Atchutapuram (M), Visakhapatnam District vide L.P.No.4/2015 in favour of M/s Suvarna Bhoomi Developers Pvt. Ltd., Visakhapatnam - Orders - Issued. | Veduravada (V),Atchutapuram (M), Visakhapatnam District | 108 | 8.57 | 137/p, 138/p and 139/p | 20/8/2015 | PRVT | VIEW | VIEW |
| 39 | 38/2013/L6 | 5/2015 | | VK-PCPIR SDA, Visakhapatnam - Approval of Layout for an extent of Ac.2.04 cts in Sy.No.245/P of Maduturu (V), Atchutapuram (M), Visakhapatnam District vide L.P.No.5/2015 in favour of Sri M.V.S.S.N.Raju, Visakhapatnam - Orders - Issued. | Maduturu (V), Atchutapuram (M), Visakhapatnam District | 26 | 2.04 | 245/p | 29/09/2015 | PRVT | VIEW | VIEW |
| 40 | 22/2013/L6 | 6/2015 | | VK-PCPIR SDA, Visakhapatnam - Approval of Layout for an extent of Ac.11.50 cts in Sy.Nos.140/p, 183/2, 184/p,185/p, 186/1,4&5 and193/p of Avasomavaram (V), Atchutapuram (M), Visakhapatnam District vide L.P.No.6/2015 in favour of M/s.R.K. Township Developers (P) Ltd., Dr.Chittiypanthulu & Others, Visakhapatnam, - Orders -Issued. | Avasomavaram (V), Atchutapuram (M), Visakhapatnam District | 142 | 11.50 | 140/p,183/2,184/p,185/p,186/1,4&5,193/p | 9/9/2015 | PRVT | VIEW | VIEW |
| 41 | 14735/2008/L6 | 7/2015 | | VK-PCPIR SBA, Visakhapatnam - Approval of Layout for an extent of Ac.25.82 cts in Sy.Nos.50/p, 51/p, 52/1, 55 & 56 of Cheemalapali (V), Atchutapuram (M), Visakhapatnam District vide L.P.No.7/2015 in favour of Sri J.Balakoteswara Rao and others M/s.Kavuri Hills (P) Ltd., Visakhapatnam - Orders - Issued | Cheemalapali (V), Atchutapuram (M), Visakhapatnam District | 312 | 25.82 | 50/p,51/p,52/1,55&56 | 09/10/2015 | PRVT | VIEW | VIEW |
| 42 | 3677/2015/L10 | 8/2015 | | VK-PCPIR SDA, Visakhapatnam - Approval of Layout for an extent of Ac.5.55 cts in Sy.Nos.33 & 36 of Marturu (V), Atchutapuram (M), Visakhapatnam District vide L.P.No.8/2015 in favour of Sri P.Venkata Rao and others., Visakhapatnam - Orders -Issued | Marturu (V), Atchutapuram (M), Visakhapatnam District | 80 | 5.55 | 33 & 36 | 28/10/2015 | PRVT | VIEW | VIEW |
| 43 | 5059/2015/L10 | 9/2015 | | VK-PCPIR SDA, Visakhapatnam - Approval of Layout for an extent of Ac.16.16 cts in Sy.Nos.5 & 6 of Komaragiri (V), U.Kothapalii (M), East Godavari District vide L.P.No.9/2015 in favour of M/s.Prakruti Avenue Private Ltd., Visakhapatnam - Orders - Issued. | Komaragiri (V), U.Kothapalii (M), East Godavari District | 214 | 16.16 | 5 & 6 | 18/11/2015 | PRVT | VIEW | VIEW |
| 44 | 6327/2013/L10 | 10/2015 | | VK-PCPIR SDA, Visakhapatnam - Approval of Layout for an extent of Ac.10.12 cts in Sy.No.5/1p of Maduturu (V), Atchutapuram (M), Visakhapatnam District vide L.P.No.10/2015 in favour of Sri M.G.Amarnath of M/s.R.K.Township Developers Private Ltd., Visakhapatnam - Orders - Issued. | Maduturu (V), Atchutapuram (M), Visakhapatnam District | 143 | 10.12 | 5/1p | 16/11/2015 | PRVT | VIEW | VIEW |
| 45 | 4396/2015/L10 | 11/2015 | | VK-PCPIR SDA, Visakhapatnam - Approval of Layout for an extent of Ac.12.20 cts in Sy.Nos.153/P, 154, 155/p of Rajakoduru (V), Rambilli (M), Visakhapatnam District vide L.P.No.11/2015 in favour of Sri G.S.Srinivasa Raju, Visakhapatnam – Orders - Issued. | Rajakoduru (V), Rambilli (M), Visakhapatnam District | 150 | 12.20 | 153/P,154,155/p | 09/12/2015 | PRVT | VIEW | VIEW |
| 46 | 7750/2015/L10 | 12/2015 | | VK-PCPIR SDA, Visakhapatnam - Approval of Layout for an extent of Ac.10.01 Cts in Sy.Nos.42/1 p, 42/3p, 44/1 P & 44/2p of U.Kothapalli Village and Mandal, East Godvari District vide L.P.No.12/2015 in favour of Sri M.Dora Babu, East Godavari District – Orders - Issued. | U.Kothapalli Village and Mandal, East Godvari District | 140 | 10.01 | 42/1p, 42/3p, 44/1 P & 44/2p | 21/12/2015 | PRVT | VIEW | VIEW |
| 47 | 10749/2015/L10 | 1/2016 | | VK-PCPIR SDA, Visakhapatnam - Approval of Layout for an extent of Ac.44.22 cts in Sy.No.2/2P of Vedurwada (V), Atchutapuram (M), Visakhapatnam District vide L.P.No.1/2016 in favour ofSri B.Krishna Murthy Rajtl, Visakhapatnam - Orders - Issued. | Vedurwada (V), Atchutapuram (M), Visakhapatnam District | 487 | 44.22 | 2/2p | 04/03/2016 | PRVT | VIEW | VIEW |
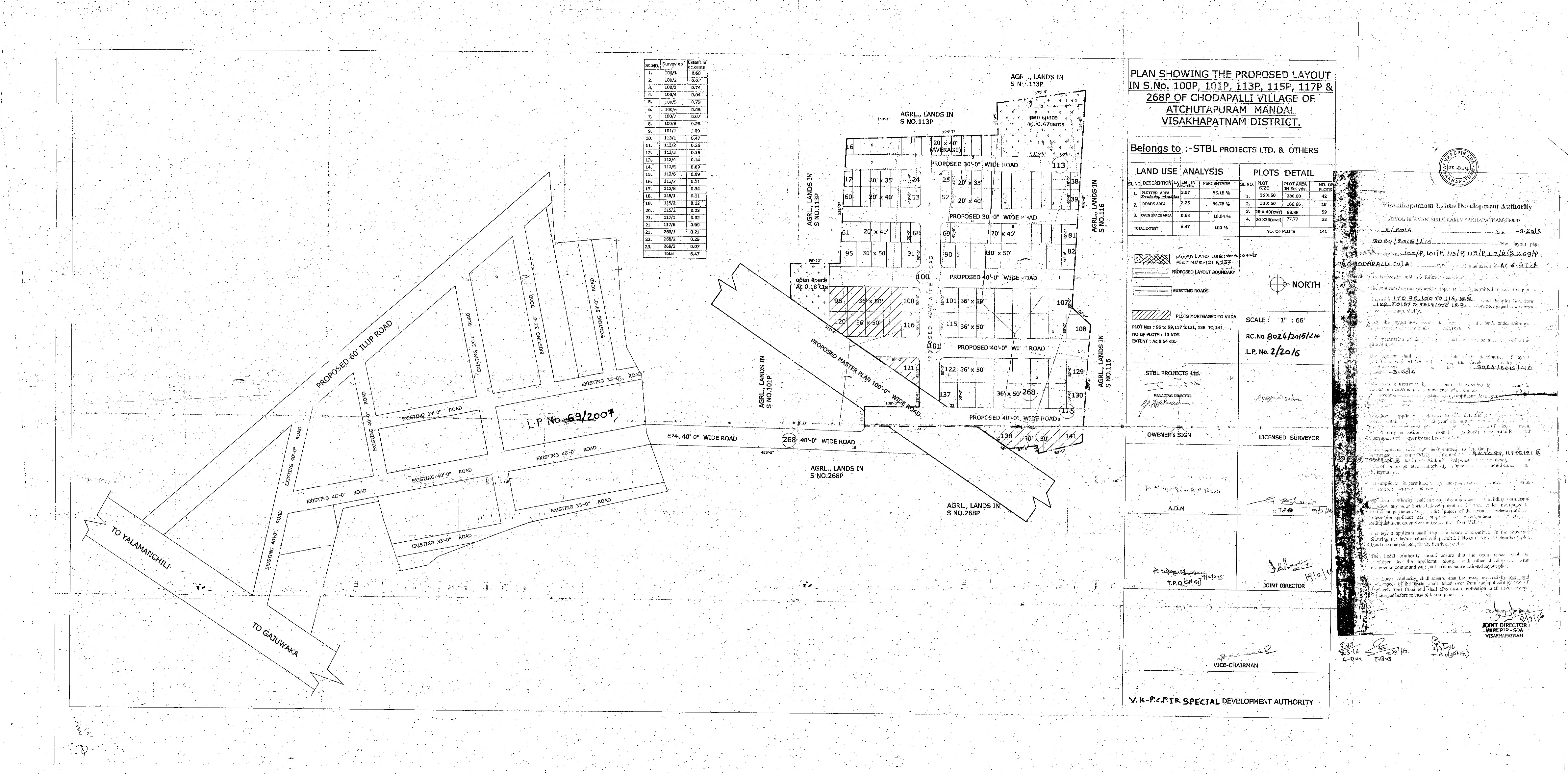
| 48 | 8024/2015/L10 | 2/2016 | | VK-PCPIR SDA, Visakhapatnam - Approval of Layout for an extent of AC.6.47 Cts in Sy.Nos.100/p, 101/p, 113/p, 115/p, 117/p, and 268/p of Chodapalli Village, Atchutapuram Mandal, Visakhapatnam District vide L.P.No.2/2016 in favour of MIs. STBL Projects Limited., Visakhapatnam - Orders - Issued | Chodapalli Village, Atchutapuram Mandal, Visakhapatnam District | | 6.47 | 100/p, 101/p, 113/p, 115/p, 117/p, and 268/p | 02/03/2016 | PRVT | VIEW | VIEW |
| 49 | 1163/2016/L10 | 3/2016 | | VK-PCPIR SDA, Visakhapatnam - Approval of Layout for an extent of AC.9.00 Cts in S.No.2/1p of Veduruwada (V), Atchutapuram (M) Visakhapatnam District vide L.P.No.3/2016 in favour of Sri G.Rajendra Prasad, Visakhapatnam - Orders -Issued | Veduruwada (V), Atchutapuram (M) Visakhapatnam District | 110 | 9.00 | 2/1p | 5/11/2016 | PRVT | VIEW | VIEW |
| 50 | 5751/2015/L10 | 4/2016 | | VK-PCPIR SDA, Visakhapatnam - Approval of Layout for an extent of AC.5.48 Cts in S.Nos.246/P,248/P,249/P,250/P of Chodapalli (V), Atachutpauram Mandal, Visakhapatnam District vide L.P.No.4/2016 in favour of Sri Jampana Ankineedu Prasad, S/o.J.Pakeeraiah, Managing Director,M/s.Shanmukha Developers India PVT.L TO.,Visakhapatnam - Orders - Issued. | Chodapalli (V), Atachutpauram Mandal, Visakhapatnam District | 88 | 5.48 | 246/P,248/P,249/P,250/P | 28/12/2016 | PRVT | VIEW | VIEW |
| 51 | 2045/2016/L10 | 5/2016 | | VK-PCPIR SDA, Visakhapatnam - Approval of Layout for an extent of AC.9.72 Cts in S.No.2/1Dp of Veduruwada (V), Atchutapurarn (M) Visakhapatnarn District vide L.P.No.5/2016 in favour of Sri G.Rajendra Prasad, Visakhapatnam - Orders - Issued. | Veduruwada (V), Atchutapurarn (M) Visakhapatnarn District | 21 | 9.72 | 2/1Dp | 5/1/2017 | PRVT | VIEW | VIEW |
| 52 | 10267/2015/L10 | 1/2017 | | VK-PCPIR SDA, Visakhapatnam - Approval of Layout for an extent of AC.37.29 Cts in S.Nos.47/p & 51/p of Dupputuru Village, Atchutapuram Mandal, Visakhapatnam District vide L.P.No.1/2017 in favour of Sri B.Gopala Krishna and others, Visakhapatnam - Orders - Issued. | Dupputuru Village, Atchutapuram Mandal, Visakhapatnam District | 425 | 37.29 | 47/p & 51/p | 10/04/2017 | PRVT | VIEW | VIEW |
| 53 | 9259/2014/L10 | 3/2017 | | VK-PCPIR SDA, Visakhapatnam - Approval of Layout for an extent of Ac.4.03 Cts in S.No.41/p of Ravipalem Revenue Village, Atchutapuram (M) Visakhapatnam District vide L.P.No.3/2017 in favour of Sri M.Venkata Ratnam and others, Visakhapatnam - Orders - Issued. | Ravipalem Revenue Village, Atchutapuram (M) Visakhapatnam District | 50 | 4.03 | 41/p | 21-7-2017 | PRVT | VIEW | VIEW |
| 54 | 10038/2016/L10 | 1/2018 | | VK-PCPIR SDA, Visakhapatnarn - Approval of Layout for an extent of Ac.4.38 Cts in S.Nos.73/1,2,3,4-A1,5,6,7,7A-1A,8,9,10,11,13 & 14 of Nunaparthi Village, Atchutapuram Mandal, Visakhapatnam District vide L.P.No.1/2018 in favour of Sri N.Satya Raju and others the Managing Partner M/s.Thri Orders - Issued. | Nunaparthi Village, Atchutapuram Mandal, Visakhapatnam District | 45 | 4.38 | 73/1,2,3,4-A1,5,6,7,7A-1A,8,9,10,11,13 & 14 | 23-02-2018 | Pvt | VIEW | |
| 55 | 7243/L6/ | 3/2011 | | VK-PCPIR SDA - VUDA-PLG-Permission for approval of layout to an extent of Ac 24.31 cts in S.No 46P & 51P of Duppituru (V), Atchutapuram (M) Visakhapatnam District vide L.P.No.3/2011 of VK-PCPIR SDA applied by Sri Demudu & others-Releasing of layout - Regarding. | Duppituru (V), Atchutapuram (M) Visakhapatnam District | 218 | 24.31 | 46p & 51P | 21-4-2011 | Pvt | VIEW | VIEW |
| 56 | 426/2010/L10 | 2/2017 | | VK-PCPIR SDA, Visakhapatnam - Approval of layout for an extent of Ac. 18.00 Cts in S.Nos. 18/p,32/p,33/p,28,29/p,30/p and 227/1 to 16 of Tadi Village in Parawada Mandal, GVMC limits, VKPCPIR - SDA, Visakhapatnam District vide-L.P.No. 2/2017 in favour of Sri N.V.Prasad Managing Director, M/s Sai Priya Contructions Private Ltd., Visakhapatnam - Orders - Issued. | Tadi Village in Parawada Mandal, GVMC limits, VKPCPIR - SDA, Visakhapatnam District | 217 | 18 | 18/p,32/p,33/p,28,29/p,30/p and 227/1 to 16 | 11-05-2017 | Pvt | VIEW | VIEW |
| 57 | 2874/08/L3 | 03/2008 | | VUDA-PLG-Permission for approval of layout for an extent of Ac 12.99 Cts in S.No. 325/P and 329/5p of Desapatrunipalem (V), Parawada (M), Visakhapatnam District vide L.P.No. 03/2008 (VK PCPIR SDA) - Orders - Issued -Reg | Desapatrunipalem (V), Parawada (M), Visakhapatnam District | 130 | 12.99 | 325/p,329/5p | 5-12-2008 | Pvt | VIEW | |
| 58 | 9707/L6/2010 | 6/2010 | | VK PCPIR SDA - VUDA -Plg - Revised approval of layout for an extent of Acs. 12.99 cts in S.No.325/5p & 329/5p of Desapatrunipalem (V) Parawada (M) Visakhapatnam (D) - L.P.No.6/2010 of VK-PCPIR SDA- Orders-Issued -Reg. | Desapatrunipalem(V), Parawada (M) - Visakhapatnam District | | 12.99 | 325/p & 329/5p | 22-9-2010 | Pvt | VIEW | VIEW |
| 59 | 2187/08/L3 | 02/2008 | | VUDA - PLG - Permission for approval of layout for an extent of Ac 11.15 Cts in S. No. 398 of Ravada (V) Parawada (M) Visakhapatnam District vide L.P. No. 02/2008 ( VK PCPIR SDA ) - Orders -Issued - Reg. | Ravada (V) Parawada (M) Visakhapatnam District | 94 | 11.15 | 398 | 29-11-2008 | Prvt | VIEW | VIEW |
| 60 | 22021(31)/04/2021 | 02/2008 | | VKPCPIR -SDA, Visakhapatnam - Release of Final Layout vide L.P.No.2/2008 in Sy.No.398 of Ravada Village, Parawada Mandal, Visakhapatnam District covering an extent of AC.11.15 Cts in favour M/s. Navayuga Constructions -Release of Mortgaged Plots - Approval - Orders - Issued. | Ravada Village, Parawada Mandal, Visakhapatnam District | 123 | 11.15 | 398 | 23-09-2021 | Prvt | VIEW | VIEW |